대관령, 2019
작품정보


































<초대의 글>
강원도 강릉에 거주하면서 대관령을 중심으로 산의 정서를 앵글에 담아온 사진작가 김남돈.
‘안개’와 ‘눈’이 만들어내는 이미지와 그 공간 속에서 삶을 이뤄가는 정주민의 생을 따뜻한 눈으로 바라보던 사진작가 김남돈은 가장 강원도적인, 강원도의 속살을, 그 숨결과 주름을 따뜻하게 담은 사진을 새롭게 펼치는 전시회를 엽니다.
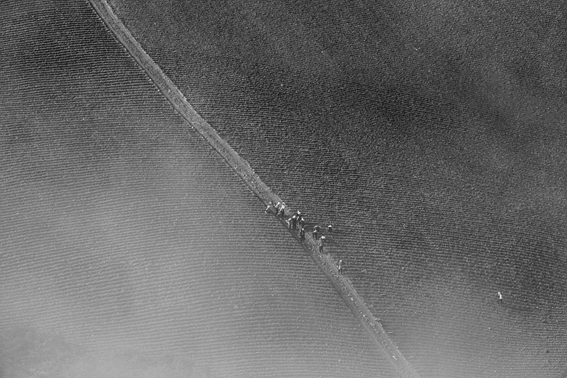
‘안반데기, 대관령, 봉평’. 어떤 시원(始原)같은 그 공간에서 만난 선과 면, 그리고 그 선과 면을 가로지르는 사람들.
소리가 없는, 유려한 곡선이 삶의 굴곡을 대신하는 작품을 이주 간 만나실 수 있습니다.
초대합니다.
<보도의 글>
대관령과 아버지, 그 땅의 자연과 노동의 풍경
- 김남돈 사진전 <대관령>, 오는 4월 2일부터 갤러리 류가헌에서
아버지는 일평생을 대관령에 기대 산 농부였다. 가파른 비탈에 꼿꼿이 서서, 때론 구릉처럼 낮게 엎드려 쉼 없이 농사일을 했다. 농사일을 안 하는 동안에는 나물을 뜯거나 약초를 캐러 다녔고, 겨울이면 토끼나 꿩을 잡으러 눈 덮인 산을 오르내렸다.
아들은 그런 아버지의 뒤를 졸졸 따라다니면서 어린 시절을 보냈다. 좀 더 자라서는 아버지를 도와 고랭지 밭에서 배추와 감자를 심었고, 약 치고 거름 주는 일을 거들었다.
장성한 후에 아버지 곁을 떠났지만, 대관령이 바라다 보이는 강릉이 아들의 새 주소지였다. 40여년을 ‘대관령’과 함께 살아온 것이다. 그런 그에게 대관령과 아버지는 서로 분리할 수 없는 하나의 이미지다. 아버지를 떠올리면 눈 많고 안개 짙던 대관령의 자연이, 구릉과 비탈밭이 그 배경으로 함께 떠올랐고, 대관령의 자연을 떠올리면 그 풍경 어딘가에 아버지가 서 있거나 엎드려 있었다.
오로지 대관령만을 십 수 년 째 사진에 담아 온 김남돈이 처음 펼쳐 보이는 <대관령>. 그의 사진들 속에서, 대관령의 자연 풍경과 그 땅에 기대 사는 사람들의 노동의 풍경이 이토록이나 조화로이 어우러질 수 있었던 것이 그 때문이다. 흑백사진 속 흰색과 검은색 사이의 무채색들이 왠지 그립고 따스한 정서를 드러내는 것도 같은 이유다. 여행자의 시선으로는 쉬이 포착하기 어려운 대관령 풍경의 한 정점이, 김남돈의 <대관령> 속에는 있는 것이다.
“사진을 시작한 이후 나의 발걸음은 언제나 대관령이었다. 추운 대관령에 올라 폭설과 짙은 안개를 마주하고 있으면, 아버지 생각이 많이 났다. 나에게 대관령은 따뜻한 아버지의 대지와 같다. 나도 언젠가는 태어났고 살아온 이곳에 묻힐 것이다. 그 순간까지 아버지와 대관령을 사진으로 담을 것이다.”
사진가 김남돈이 작업노트에 쓴 다짐 글이다. 농부였던 아버지처럼 묵묵히, 앞으로도 사진으로 일구어갈 그의 ‘대관령’ 농사가 또한 궁금하다. 그 첫 번째 산물을 펼쳐 보이는 김남돈 사진전 <대관령>은, 오는 4월 2일부터 류가헌 전시2관에서 열린다.
작가노트
나에게 대관령은 고향이나 다름없다. 대관령 근처에서 나서 자랐고 지금도 대관령이 보이는 강릉에 살고 있으니 40여년을 함께 살아온 셈이다. 어린 기억속의 대관령은 춥고 눈이 많이 내렸으며 항상 짙은 안개를 머금고 있었다.
밭농사를 주로 하시던 아버지는 대관령이 삶의 터전이었다. 고랭지 밭에 배추와 감자를 심거나 농약을 치고 비료를 줄 때면 나는 아버지를 도왔다. 아버지는 농사일 외에 나물을 뜯거나 약초를 캐러 다니셨고 겨울이면 눈 덮인 산에 토끼나 꿩을 잡으러 다니셨다. 나는 항상 아버지의 뒤를 졸졸 따라다니며 어린 시절을 보냈다. 나에게 대관령은 아버지의 분신이나 다름없었다.
강릉에서 살고 있지만 나의 마음은 항상 대관령으로 향해 있었다. 그리고 사진을 시작한 이후 나의 발걸음은 언제나 대관령이었다. 추운 대관령에 올라 폭설과 짙은 안개를 마주하고 있으면 나는 아버지 생각이 많이 났다. 나에게 대관령은 따뜻한 아버지의 대지와 같다.
나도 언젠가는 태어났고 살아온 이곳에 묻힐 것이다. 그 순간까지 아버지와 대관령을 사진으로 담을 것이다.
전시이력
- 2019. 4. 2(화) ~ 4.14(일), 사진위주 류가헌 갤러리(서울)
- 2019. 4. 28(일) ~ 5.27(월), 효석달빛언덕 푸른집(평창,봉평)
- 2019. 5. 29(수) ~ 6.4(화) 09:00~18:00, 강릉시립미술관(강릉)
- 2020. 1 ~ 21. 1, 효석달빛언덕 푸른집(평창,봉평)
'Exhibition' 카테고리의 다른 글
| 산협의 기억, 2016 (0) | 2023.09.28 |
|---|---|
| 봄이 돌아오는 시간 - 경포, 2014 (0) | 2023.09.27 |
| 치유(治癒)의 바다 (Sea of Healing) - 동해, 2013 (0) | 2023.09.27 |
| 안개에게 길을 묻다. - 대관령, 2012 (0) | 2023.09.26 |